Ørentvist
Latin: Dermaptera
I Danmark finder vi ikke kun én art inden for dette skadedyr. Dog er det kun den mest almindelige art, Forficula auricularis, der kan optræde i større og generende mængder indendørs.
Udseende
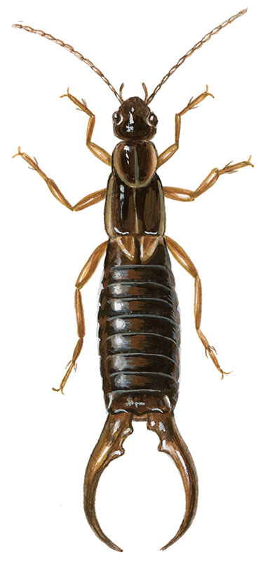
Mange kender allerede ørentvisten, der er karakteristisk ved at have en kraftige tang på bagenden, der for nogen kan minde om en skorpions hale. Tangen er dyrets forsvars- og angrebsmekanisme og er derfor essentiel for ørentvistens overlevelse. Dette har ligeledes været med til at navngive skadedyret, idet tvist er en forkortelse for ”tvestjert”, der betyder dobbelthale.
Første del skulle efter sigende have noget at gøre med den fejlagtige fortælling om, at ørentviste søger ind i ørene på mennesker. Derudover har ørentvisten korte dækvinger, hvor den skjuler sine sammenfoldede flyvevinger under. Ørentvisten har en rødbrun farve og bliver mellem 10 og 16 mm lang son fuldvoksen.
Biologi og adfærd
I Danmark udvikles der typisk kun én årlig generation af ørentviste, hvilket adskiller sig fra mange andre typer af skadedyr. I løbet af efteråret vil hunnen sørge for at bygge en underjordisk hule, hvor hun overvintre – ofte i selskab med hannen. Hannen forlader hulen i løbet af foråret, hvor hunnen vil påbegynde sin æglægning. Dermed yngler de ikke indendørs, og derfor er sorte partikler på deres levesteder indendørs ekskrementer og ikke æg.
Ørentvist
Efter æglægningen vil de spæde ørentviste søge føde i løbet af natten. Efter en rum tid vil hunnen dø, og herefter spredes ungerne ud. Udviklingen fra unge til voksen er kun karakteriseret ved, at ungerne er mindre og mangler vinger. Udover dette vil de fremstå som voksne ørentviste. Omkring august måned vil den nye generation være voksne og optræder derfor særligt meget i denne periode.
Dette skadedyr lever om natten, hvor de i løbet af dagen opholder sig i hule plantestængler under løs bark og andre steder med rig mulighed for at søge skjul. I løbet af natten bevæger de sig ud for at søge føde, der består af plantedele samt blød-hudede insekter såsom bladlus.
Skade
Selvom ørentvisten kan se yderst frygtindgydende ud med sin store tang, er den sjældent til stor gene eller udgør nogen væsentlig skade. Dog kan skadedyret forvolde skade i haver og gartnerier, hvor de gnaver i særligt blomsterknopper, skud og frugter af forskellig art. I boligen er de ganske uskadelige, men dog generende for mange. Typisk vil det største angreb ske med somre med overvejende regn, og her kulminerer angrebet typisk i juli og august.
Almindelig ørentvist
Forebyggelse og bekæmpelse
Vil du gerne forebygge en invasion fra dette skadedyr, gælder det om at svække deres udviklingsmuligheder tæt ved din bolig. Derfor bør du holde græsset kort og ligeledes undgå kompostbunker, som er et godt gemmested for skadedyret. Derudover skal du undgå sammenrevet haveaffald, brændestabler og lignende steder.
Særligt nybyggede huse vil opleve en stor gene fra ørentviste i og med, at der typisk vil ligge mere bark samt andre materialer under selve byggeprocessen. Særligt udsat er sommerhuse, hvor en del planter vil skyde op under det nye sommerhus. Dette gælder især for sommerhuse på piller. Her vil de blege, ranglede skud og henfaldende plantedele give god næring til ørentvisten og samtidig være et godt skjulested.
Selve bekæmpelsen af skadedyret er besværligt, og derfor gælder det om at holde dem ude af huset. Ørentvisten anvender sjældent sine vinger, og derfor kravler de ind i huset. Dette sker gennem revner, sprækker, vinduer eller døre.
Er din bolig angrebet, kan du fange disse i primitive fælder som placeres langs husets udvendige sokkel eller indendørs ved steder, hvor de trænger ind. Disse fælder kan bygges af omvendte urtepotter eller lignende, som bliver udstyret med træuld eller sammenkrøllede aviser.
Fælderne fungerer ved at tiltrække ørentvisten som værende et godt skjulested, og derfor skal du sørge for at tømme fælderne daglig og sørge for at skille sig af med skadedyret.
Derudover er det muligt at pudre husets sokkel med insektpudder, der egner sig til dette skadedyr. Er det specifikke områder, er der særligt plaget af ørentviste, kan du vælge at bekæmpe disse områder. Dette gælder særligt for døre, vinduer og sprækker – og hvis der er tale om huse på piller, skal pillerne behandles. Ørentviste, der trænger ind i boligen, bør du bekæmpe med almindelig insektspray.
Om forfatterne til ovenstående indhold fra:
Statens Skadedyrslaboratorium - DPIL.DK
Henri Mourier
Cand.scient i biologi fra Københavns Universitet (1955 - 1962).
Ledende biolog hos Statens Skadedyrslaboratorium (1962 - 2000).
Forfatter til bøger og artikler:
- "Skadedyr i Hus og Hjem"
- "Væggelus, stik og kløe"
- "Skadedyr i Levnedsmidler"
- "Husets Dyreliv"
- "Skadedyr i Træ"
- "Stuefluen"
» Læs mere om Henri Mourier på Pestium.dk
» Læs mere om Henri Mourier på Wikipedia.org
Thorkil E. Hallas
Cand.scient i biologi på Københavns Universitet.
Zoolog på allergiklinikken på Rigshospitalet (1998 - 2011).
Forfatter til bøger og artikler:
- "Væggelus, stik og kløe"
- "Skadedyr i Levnedsmidler"
- "Bekæmp miderne rigtigt"
- "Husstøvmide-allergi"
- "Lopper"
- "Hundepelsmider - lille årsag, stor kløe"

