Brunstribet kakerlak
Det formodes, at den brunstribede kakerlak – med det latinske navn Supella longipalpa – stammer fra Afrika. Men i løbet at de seneste århundreder har den brunstribede kakerlak fundet vej til alle tropiske og subtropiske steder over hele Jorden.
Den brunstribede kakerlak findes også på dansk jord, efter at den i 1970’erne første gang begyndte at vise sig her i landet. Selvom den brunstribede kakerlak også har indtaget dansk territorie, må den dog se sig slået af sin artsfælle – den tyske kakerlak – i synlighed, da den tyske variant er langt den hyppigst forekomne kakerlak i Danmark.
Udseende
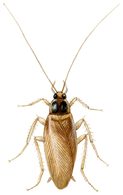
Den brunstribede kakerlak måler i fuldvoksen tilstand omkring 1,0 – 1,4cm. Farven på kakerlakken er lysebrun, og ned over ryggen løber to lysere brune bånd, der har givet den det karakteristiske navn. Forrest på hovedet har den to lange følehorn. Hunnens vinger dækker ikke bagkroppen helt og hun er lidt brede end hannen.
Biologi og adfærd
Den brunstribede kakerlak stammer som beskrevet fra de varmere himmelstrøg. Derfor kræver den også en vis portion varme for at trives godt. Faktisk foretrækker kakerlakken varme temperaturer på mellem 25°C og 30°C.
Derfor finder den også ofte vej ind i tørre og opvarmede lokaler, som eksempelvis en stue, et soveværelse eller lignende. Den søger også gerne ind bag apparater, der afgiver varme, som eksempelvis et fjernsyn. Det er denne adfærd, der har givet den brunstribede kakerlak kælenavnet ”TV-kakerlak”.
Brunstribet kakerlak
Den brunstribede kakerlak er ikke ligefrem en kræsen størrelse, men kan fortære stort set alt. Lige fra døde insekter til brødkrummer og organisk affald. Den kategoriseres som lyssky og søger gerne i skjul på steder, der er højt placeret som eksempelvis hylder og reoler.
Når den brunstribede kakerlak skal lægge sine æg, lægges de i kapsler. Hver kapsel kan indeholde omtrent 10 til 20 æg, og hunnen kan lægge omkring 5 til 20 kapsler i sin levetid. Hunnen lægger kapslen på beskyttede områder, hvor der er en god temperatur.
Jo varmere, der er, desto hurtigere går processen med udklækningen af de små nymfer. Det betyder, at et udsving på mellem 20°C og 30°C kan resultere i, at udviklingsprocessen kan vare alt fra 6 til cirka 8 uger.
Ved 25°C er der en klækketid på ca. 70 dage, og udviklingen fra æg til fuldvoksen tager ca. 160 dage ved disse temperaturer.
Kakerlakken gennemgår 6-8 nymfestadier, inden den er fuldt ud kønsmoden. Igen spiller temperaturen en væsentlig rolle, og udviklingen kan vare mellem knap 2 måneder til omtrent ½ år.
Den brunstribede kakerlak producerer omtrent halvt så mange afkom, som den tyske kakerlak.
Skade
Hvis den brunstribede kakerlak har fundet vej ind i ens hjem, udgør den som sådan ikke den store skade. Dog kan kakerlakker fungere som smittebærere for sygdomme og forårsage allergiske reaktioner, hvorfor man gør klogt i at bekæmpe dem. De kan også gnave i papirvarer, malerier og dokumenter.
Forebyggelse og bekæmpelse
Det bedste angreb er forsvar, når det gælder kakerlakker. Det gælder nemlig om at gøre hjemmet så lidt indbydende for den brunstribede kakerlak som overhovedet muligt. Det betyder, at man skal være opmærksom omkring områder, der kunne være oplagte gemmesteder for kakerlakken, såsom bag elektriske apparater, der afgiver varme. Sørg derfor for at stille apparaterne med god afstand til væggen eller andre møbler, så du ikke uforvarende kommer til at danne et mørkt og behageligt hulrum til kakerlakken. Og vær desuden grundig med rengøringen og støvsugningen på sådanne områder.
Hvis der konstateres et større angreb af kakerlakker, bør man finde frem til dyrenes gemmesteder. På den måde kan man koncentrere bekæmpelsen på de korrekte områder, og chancen for at komme kakerlakkerne til livs vil blive større. Det kan være sin sag at finde frem til kakerlakkernes gemmesteder. Men de efterlader sig faktisk spor. Hold øje med brune rander omkring rørgennemføringer, da disse kan være ekskrementer fra kakerlakken.
Kakerlakken er som beskrevet lyssky. Derfor kommer den kun frem i mørke. Har du mistanke om, at der er kakerlakker i et lokale, så lad lyset stå slukket i nogen tid. Når man pludselig tænder for lyset, vil man formentlig opdage kakerlakkerne pile hen over gulvet til deres respektive skjulesteder.
Det kan være nødvendigt at bekæmpe kakerlakken med kemiske bekæmpelsesmidler. Ofte vil disse produkter fungere som giftbælter, som kakerlakken tvinges til at passere i jagten efter føde eller vand. Midlet påføres på områder, som kakerlakken ofte passerer, såsom langs paneler, ved rørgennemføringen eller bag elektriske apparater.
Der findes desuden forskellige typer insektspray, der også kan anvendes til formålet. Det kan være en fordel at afprøve forskellige metoder og præparater, da kakerlakkerne kan udvikle en form for resistens over for visse produkter, hvis det bruges jævnligt. Vær opmærksom på, at produkter ikke må anvendes i områder, hvor de kan komme i direkte kontakt med fødevarer.
Om forfatterne til ovenstående indhold fra:
Statens Skadedyrslaboratorium - DPIL.DK
Henri Mourier
Cand.scient i biologi fra Københavns Universitet (1955 - 1962).
Ledende biolog hos Statens Skadedyrslaboratorium (1962 - 2000).
Forfatter til bøger og artikler:
- "Skadedyr i Hus og Hjem"
- "Væggelus, stik og kløe"
- "Skadedyr i Levnedsmidler"
- "Husets Dyreliv"
- "Skadedyr i Træ"
- "Stuefluen"
» Læs mere om Henri Mourier på Pestium.dk
» Læs mere om Henri Mourier på Wikipedia.org
Thorkil E. Hallas
Cand.scient i biologi på Københavns Universitet.
Zoolog på allergiklinikken på Rigshospitalet (1998 - 2011).
Forfatter til bøger og artikler:
- "Væggelus, stik og kløe"
- "Skadedyr i Levnedsmidler"
- "Bekæmp miderne rigtigt"
- "Husstøvmide-allergi"
- "Lopper"
- "Hundepelsmider - lille årsag, stor kløe"

